icona-ricerca_bg
icona-accedi-registrati_bg

Area riservata/Registrati

Si informano i gentili utenti che, al momento, l’acquisto dei prodotti IGM è effettuabile esclusivamente tramite il sito ufficiale www.igmi.org
Il servizio di vendita diretta su questa piattaforma è in fase di implementazione e sarà reso disponibile prossimamente. Ci scusiamo per il temporaneo disagio.
Anteprima a bassa risoluzione del file originale e coperta da filigrana

107605 – RINCINE

ID Univoco del prodotto: 4489

36,60  IVA incl.

Selezione modalità di acquisto

Description

107605 – RINCINE

Additional information

Code and name

107605 - RINCINE

Coordinate ETRF2000

43°52'0"N, 11°37'5"N

Anno misura

2007

Ultima ricognizione
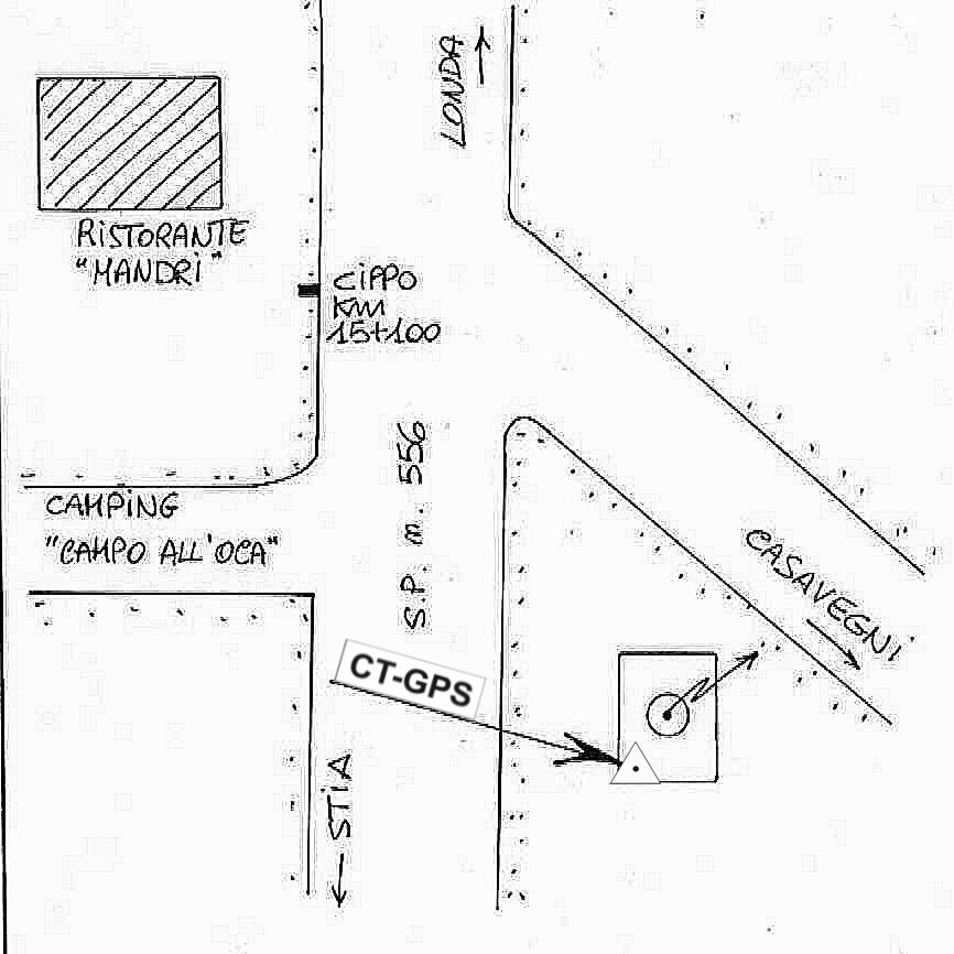
Materializzazione

Centrino in acciaio inox infisso sul basamento del palo Enel posto in prossimità dell'incrocio tra la S.P. 556 e l'incrocio per Casavegni (km 15+100 della S.P. 556).

Tipo di rete

Rete di Raffittimento

Collegamenti

R 0167# ### 094# Bulloncino inox orizz. tipo GPS DH = 0,000

Derivazione quota

Con quota derivata da caposaldo di livellazione (Rete Fond.)

Prodotti simili

Non sono presenti prodotti con i filtri selezionati, si prega di azzerare i filtri ed eseguire una nuova ricerca.