icona-ricerca_bg
icona-accedi-registrati_bg

Area riservata/Registrati

Si informano i gentili utenti che, al momento, l’acquisto dei prodotti IGM è effettuabile esclusivamente tramite il sito ufficiale www.igmi.org
Il servizio di vendita diretta su questa piattaforma è in fase di implementazione e sarà reso disponibile prossimamente. Ci scusiamo per il temporaneo disagio.
Anteprima a bassa risoluzione del file originale e coperta da filigrana

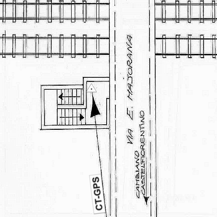
113627 – CAMBIANO

ID Univoco del prodotto: 4676

36,60  IVA incl.

Selezione modalità di acquisto

Description

113627 – CAMBIANO

Additional information

Code and name

113627 - CAMBIANO

Coordinate ETRF2000

43°37'49"N, 10°57'33"N

Anno misura

2007

Ultima ricognizione
Materializzazione

Centrino in acciaio inox murato sul pianerottolo delle scale di accesso ai binari della fermata delle Ferrovie dello Stato di Cambiano della linea Empoli – Siena, nel comune di Castelfiorentino.

Tipo di rete

Rete di Raffittimento

Collegamenti
Derivazione quota

Con quota derivata dal modello del geoide (ITALGEO2005)

Prodotti simili

Non sono presenti prodotti con i filtri selezionati, si prega di azzerare i filtri ed eseguire una nuova ricerca.