icona-ricerca_bg
icona-accedi-registrati_bg

Area riservata/Registrati

Si informano i gentili utenti che, al momento, l’acquisto dei prodotti IGM è effettuabile esclusivamente tramite il sito ufficiale www.igmi.org
Il servizio di vendita diretta su questa piattaforma è in fase di implementazione e sarà reso disponibile prossimamente. Ci scusiamo per il temporaneo disagio.
Anteprima a bassa risoluzione del file originale e coperta da filigrana

114610 – PODERE MULINACCIO

ID Univoco del prodotto: 4694

36,60  IVA incl.

Selezione modalità di acquisto

Description

114610 – PODERE MULINACCIO

Additional information

Code and name

114610 - PODERE MULINACCIO

Coordinate ETRF2000

43°23'59"N, 11°35'33"N

Anno misura

2007

Ultima ricognizione
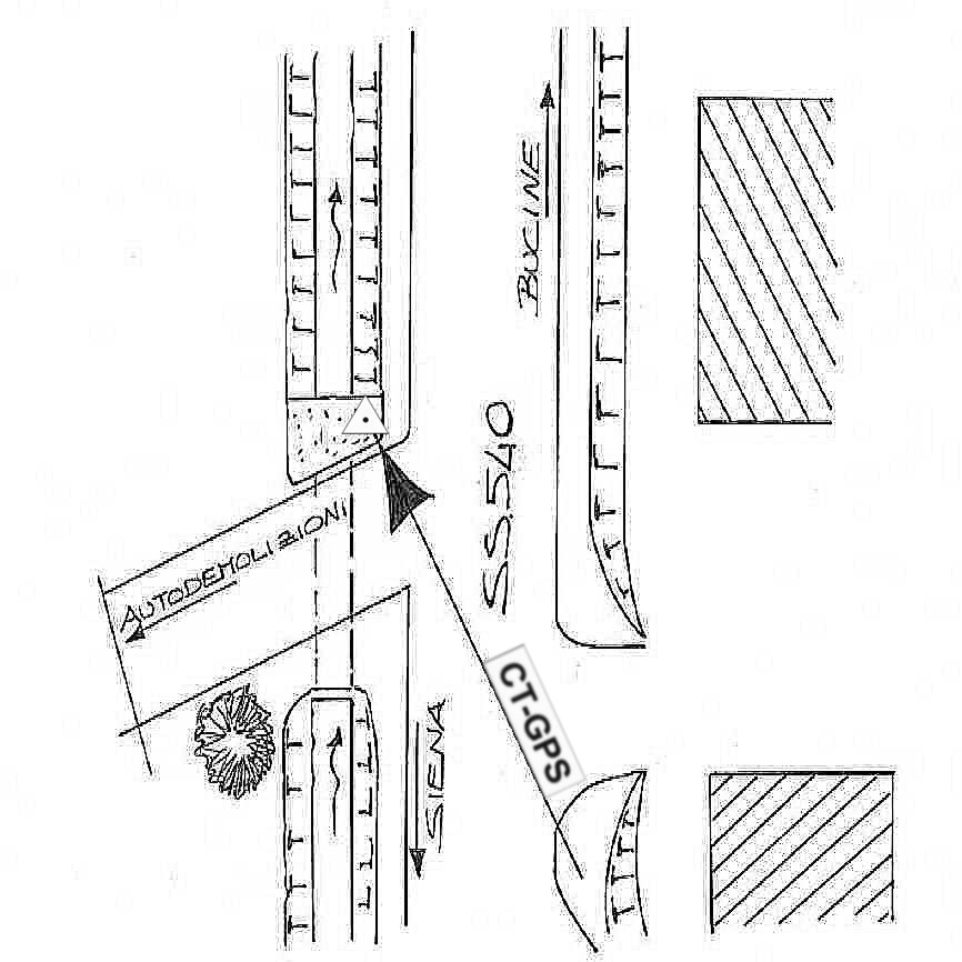
Materializzazione

Centrino in acciaio inox murato sul muro in cemento, costituente un ponticello posto sul lato destro della strada che da Bùcine porta a Siena. La platea del ponte è posta all'ingresso di una stradella che porta all'autodemolizione al Km 13 + 400 nei pressi della località " Badia a Ruoti ", nel comune di Bùcine.

Tipo di rete

Rete di Raffittimento

Collegamenti
Derivazione quota

Con quota derivata dal modello del geoide (ITALGEO2005)

Prodotti simili

Non sono presenti prodotti con i filtri selezionati, si prega di azzerare i filtri ed eseguire una nuova ricerca.