icona-ricerca_bg
icona-accedi-registrati_bg

Area riservata/Registrati

Si informano i gentili utenti che, al momento, l’acquisto dei prodotti IGM è effettuabile esclusivamente tramite il sito ufficiale www.igmi.org
Il servizio di vendita diretta su questa piattaforma è in fase di implementazione e sarà reso disponibile prossimamente. Ci scusiamo per il temporaneo disagio.
Anteprima a bassa risoluzione del file originale e coperta da filigrana

114615 – SPOIANO

ID Univoco del prodotto: 4699

36,60  IVA incl.

Selezione modalità di acquisto

Description

114615 – SPOIANO

Additional information

Code and name

114615 - SPOIANO

Coordinate ETRF2000

43°22'50"N, 11°46'23"N

Anno misura

2007

Ultima ricognizione

2008-10-10T00:00:00+00:00

Materializzazione

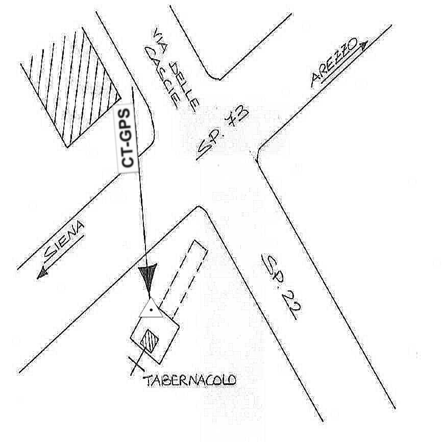
Centrino in acciaio inox murato sulla fuga del lastricato del tabernacolo situato presso l'incrocio fra la strada S.P. n° 22 e la strada S.P. Senese – Aretina n°73, nel comune di Civitella Val di Chiana.

Tipo di rete

Rete di Raffittimento

Collegamenti

R 0027# ### 131P Centrino universale DH = 0,000

Derivazione quota

Con quota derivata da caposaldo di livellazione (Rete Fond.)

Prodotti simili

Non sono presenti prodotti con i filtri selezionati, si prega di azzerare i filtri ed eseguire una nuova ricerca.