icona-ricerca_bg
icona-accedi-registrati_bg

Area riservata/Registrati

icona-lingua-ITA

It

Si informano i gentili utenti che, al momento, l’acquisto dei prodotti IGM è effettuabile esclusivamente tramite il sito ufficiale www.igmi.org
Il servizio di vendita diretta su questa piattaforma è in fase di implementazione e sarà reso disponibile prossimamente. Ci scusiamo per il temporaneo disagio.
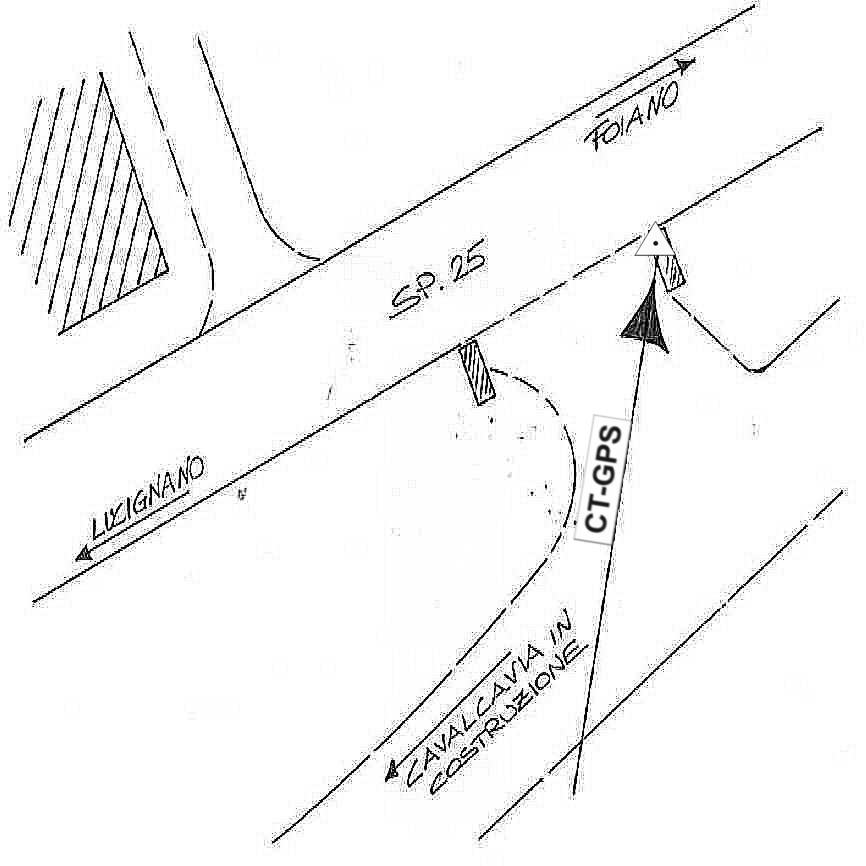
Anteprima a bassa risoluzione del file originale e coperta da filigrana

121625 – FOSSATONE

ID Univoco del prodotto: 4743

36,60  IVA incl.

Selezione modalità di acquisto

Description

121625 – FOSSATONE

Additional information

materializzazione

Centrino in acciaio inox murato sul cordolo del fosso dello svincolo in costruzione del soprapasso ferroviario in località " Fossatone ", comune di Lucignano. Nei pressi della stazione ferroviaria di Lucignano. Strada provinciale della Misericordia n° 25.

Ultima ricognizione
Collegamenti
Coordinate ETRF2000

43°17'13"N, 11°46'31"N

anno misura

2007

Tipo di rete

Rete di Raffittimento

Prodotti simili

Non sono presenti prodotti con i filtri selezionati, si prega di azzerare i filtri ed eseguire una nuova ricerca.