icona-ricerca_bg
icona-accedi-registrati_bg

Area riservata/Registrati

icona-lingua-ITA

It

Si informano i gentili utenti che, al momento, l’acquisto dei prodotti IGM è effettuabile esclusivamente tramite il sito ufficiale www.igmi.org
Il servizio di vendita diretta su questa piattaforma è in fase di implementazione e sarà reso disponibile prossimamente. Ci scusiamo per il temporaneo disagio.
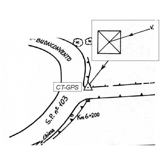
Anteprima a bassa risoluzione del file originale e coperta da filigrana

120627 – CASTIGLIONE DEL BOSCO

ID Univoco del prodotto: 5277

36,60  IVA incl.

Selezione modalità di acquisto

Description

120627 – CASTIGLIONE DEL BOSCO – Pilastro

Additional information

materializzazione

Centrino inox infisso sulla sommità del pilastro di sinistra di accesso ad una strada privata, all'altezza del Km 6,200 della SP 103.

Ultima ricognizione
Collegamenti
Coordinate ETRF2000

43°5'8"N, 11°25'23"N

anno misura

2005

Tipo di rete

Rete di Raffittimento

Prodotti simili

Non sono presenti prodotti con i filtri selezionati, si prega di azzerare i filtri ed eseguire una nuova ricerca.