icona-ricerca_bg
icona-accedi-registrati_bg

Area riservata/Registrati

Si informano i gentili utenti che, al momento, l’acquisto dei prodotti IGM è effettuabile esclusivamente tramite il sito ufficiale www.igmi.org
Il servizio di vendita diretta su questa piattaforma è in fase di implementazione e sarà reso disponibile prossimamente. Ci scusiamo per il temporaneo disagio.
Anteprima a bassa risoluzione del file originale e coperta da filigrana

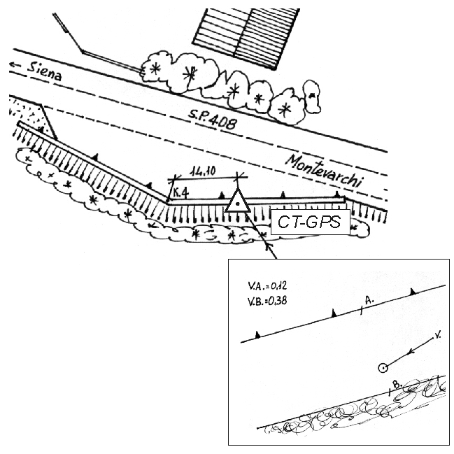
113608 – PONTE A BOZZONE

ID Univoco del prodotto: 5312

36,60  IVA incl.

Selezione modalità di acquisto

Description

113608 – PONTE A BOZZONE – Muro di controripa

Additional information

Code and name

113608 - PONTE A BOZZONE - Muro di controripa

Coordinate ETRF2000

43°20'53"N, 11°22'17"N

Anno misura

2005

Ultima ricognizione
Materializzazione

Centrino inox infisso sulla sommità del muro di controripa a lato della piazzola di sosta situata al Km 4,400 della SP 408 di Montevarchi, in Loc Ponte a Bozzone.

Tipo di rete

Rete di Raffittimento

Collegamenti
Derivazione quota

Con quota derivata dal modello del geoide (ITALGEO2005)

Prodotti simili

Non sono presenti prodotti con i filtri selezionati, si prega di azzerare i filtri ed eseguire una nuova ricerca.