icona-ricerca_bg
icona-accedi-registrati_bg

Area riservata/Registrati

Si informano i gentili utenti che, al momento, l’acquisto dei prodotti IGM è effettuabile esclusivamente tramite il sito ufficiale www.igmi.org
Il servizio di vendita diretta su questa piattaforma è in fase di implementazione e sarà reso disponibile prossimamente. Ci scusiamo per il temporaneo disagio.
Anteprima a bassa risoluzione del file originale e coperta da filigrana

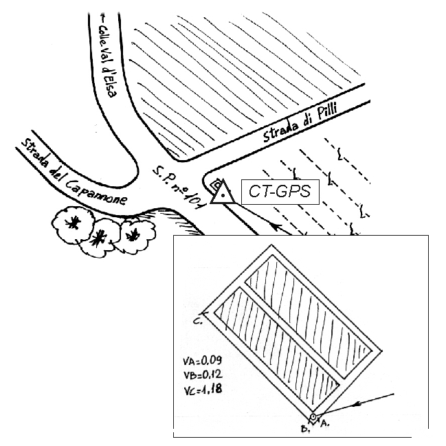
113605 – SCORGIANO

ID Univoco del prodotto: 5314

36,60  IVA incl.

Selezione modalità di acquisto

Description

113605 – SCORGIANO – Cordolo tombimo

Additional information

Code and name

113605 - SCORGIANO - Cordolo tombimo

Coordinate ETRF2000

43°21'59"N, 11°8'41"N

Anno misura

2005

Ultima ricognizione
Materializzazione

Centrino inox infisso in prossimità dello spigolo SO del cordolo laterale del tombino in cls ubicato a lato dell'incrocio fra la SP 101 Montemaggio e la strada di Pilli.

Tipo di rete

Rete di Raffittimento

Collegamenti
Derivazione quota

Con quota derivata dal modello del geoide (ITALGEO2005)

Prodotti simili

Non sono presenti prodotti con i filtri selezionati, si prega di azzerare i filtri ed eseguire una nuova ricerca.