icona-ricerca_bg
icona-accedi-registrati_bg

Area riservata/Registrati

icona-lingua-ITA

It

Si informano i gentili utenti che, al momento, l’acquisto dei prodotti IGM è effettuabile esclusivamente tramite il sito ufficiale www.igmi.org
Il servizio di vendita diretta su questa piattaforma è in fase di implementazione e sarà reso disponibile prossimamente. Ci scusiamo per il temporaneo disagio.
Anteprima a bassa risoluzione del file originale e coperta da filigrana

085612 – CALESTANO

ID Univoco del prodotto: 1032

36,60  IVA incl.

Selezione modalità di acquisto

Descrizione

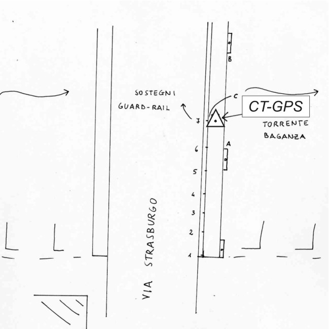
085612 – CALESTANO – Marciapiede ponte

Informazioni aggiuntive

materializzazione

Centrino metallico infisso sul marciapiede del ponte sul torrente Baganza in località Calestano lato valle sponda destra, tra il secondo ed il terzo sostegno in cemento armato del parapetto. (a=7,60; B=7,65,C=0,77).

Ultima ricognizione
Collegamenti
Coordinate ETRF2000

44°36'7"N, 10°7'10"N

anno misura

2011

Tipo di rete

Rete di Raffittimento

Prodotti simili

131642 – LA COSTA

36,60  IVA incl.