icona-ricerca_bg
icona-accedi-registrati_bg

Area riservata/Registrati

Si informano i gentili utenti che, al momento, l’acquisto dei prodotti IGM è effettuabile esclusivamente tramite il sito ufficiale www.igmi.org
Il servizio di vendita diretta su questa piattaforma è in fase di implementazione e sarà reso disponibile prossimamente. Ci scusiamo per il temporaneo disagio.
Anteprima a bassa risoluzione del file originale e coperta da filigrana

238038 – SERRA DELLA CURTA

ID Univoco del prodotto: 24064

12,20  IVA incl.

Selezione modalità di acquisto

Descrizione

238038 – SERRA DELLA CURTA

Informazioni aggiuntive

Codice e denominazione

238038 - SERRA DELLA CURTA

Coordinate ETRF2000

39°15'8"N, 17°5'13"N

Anno misura

1938-01-01

Materializzazione

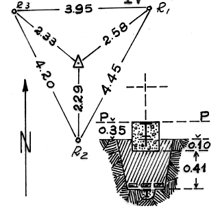
Segnale in mezzo ad un campo nella parte più alta della serra e ad una trentina di metri da un reticolato che limita il campo verso ovest. Centrini di superficie e di fondo. Riferimenti: tre come da pianta.

Accesso
Info ausiliarie
Anno istituzione

1938-01-01T00:00:00+00:00

Ordine del vertice

4

Tipo di vertice

Vertici di certa definizione

Prodotti simili

175046 – MADONNA DI RIPALTA

12,20  IVA incl.