icona-ricerca_bg
icona-accedi-registrati_bg

Area riservata/Registrati

Si informano i gentili utenti che, al momento, la vendita dei prodotti IGM è sospesa.
Il servizio di vendita diretta su questa piattaforma è in fase di implementazione e sarà reso disponibile prossimamente. Ci scusiamo per il temporaneo disagio.
Anteprima a bassa risoluzione del file originale e coperta da filigrana

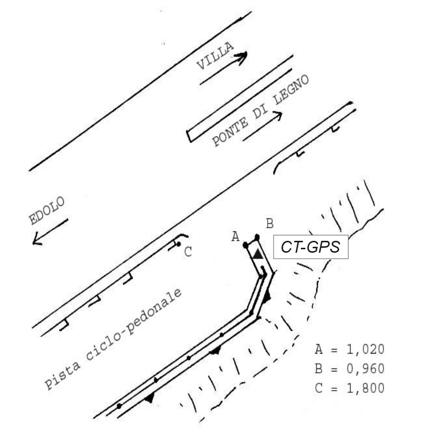
020711 – PONTAGNA

ID Univoco del prodotto: 321

54,90  IVA inclusa

Selezione modalità di acquisto

Descrizione

020711 – PONTAGNA – S.S. 42 Km 135,250

Informazioni aggiuntive

Codice e denominazione

020711 - PONTAGNA - S.S. 42 Km 135,250

Tipo di rete

Rete Primaria

Coordinate ETRF2000

46°15'8"N, 10°29'9"N

Anno misura

2012

Ultima ricognizione
Derivazione quota

Con quota derivata da caposaldo di livellazione (Rete Fond.)

Materializzazione

Centrino metallico della Regione Lombardia, infisso su muretto di sostegno in calcestruzzo.

Collegamenti

R 0057# ### 016# Bulloncino inox orizz. tipo GPS DH = 0.000

Prodotti simili