icona-ricerca_bg
icona-accedi-registrati_bg

Area riservata/Registrati

Si informano i gentili utenti che, al momento, l’acquisto dei prodotti IGM è effettuabile esclusivamente tramite il sito ufficiale www.igmi.org
Il servizio di vendita diretta su questa piattaforma è in fase di implementazione e sarà reso disponibile prossimamente. Ci scusiamo per il temporaneo disagio.
Anteprima a bassa risoluzione del file originale e coperta da filigrana

024203 – MONTE FARA

ID Univoco del prodotto: 32383

12,20  IVA incl.

Selezione modalità di acquisto

Descrizione

024203 – MONTE FARA

Informazioni aggiuntive

Codice e denominazione

024203 - MONTE FARA

Coordinate ETRF2000

46°10'42"N, 12°38'17"N

Anno misura

1949-01-01

Materializzazione

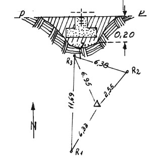
Segnale sulla cima più ad Est del monte omonimo. Centrini di fondo e di superficie stabilizzati in blocco di calcestruzzo. Riferimenti: R1, R2 centrini di zinco, R3 centrini di vetro.

Accesso
Info ausiliarie
Anno istituzione

1949-01-01T00:00:00+00:00

Ordine del vertice

3

Tipo di vertice

Vertici di certa definizione

Prodotti simili

162093 – MACCHIA VALFORTORE

12,20  IVA incl.