icona-ricerca_bg
icona-accedi-registrati_bg

Area riservata/Registrati

Si informano i gentili utenti che, al momento, l’acquisto dei prodotti IGM è effettuabile esclusivamente tramite il sito ufficiale www.igmi.org
Il servizio di vendita diretta su questa piattaforma è in fase di implementazione e sarà reso disponibile prossimamente. Ci scusiamo per il temporaneo disagio.
Anteprima a bassa risoluzione del file originale e coperta da filigrana

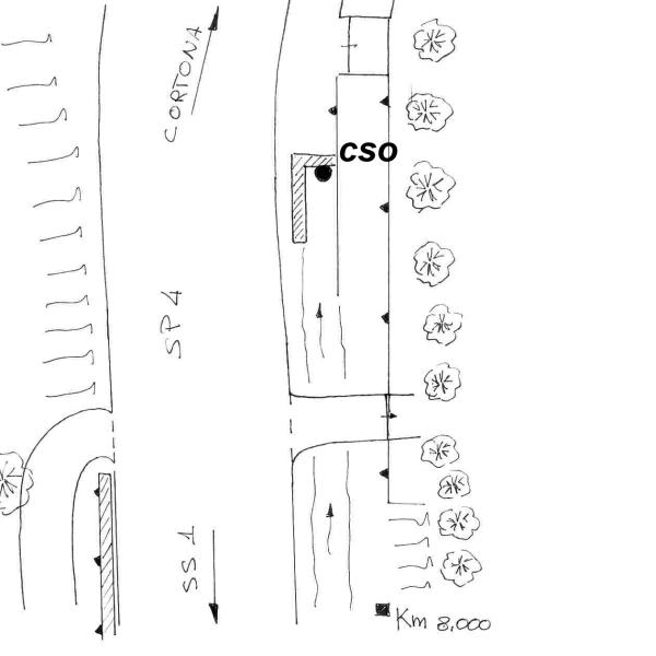
0165#_###_062# – SP 4 KM 8,020

ID Univoco del prodotto: 42064

24,40 

Selezione modalità di acquisto

Capisaldi livellazione *

capisaldi-livellazione

Totale ordine:

Descrizione

0165#_###_062# – SP 4 KM 8,020 – Ponte del Gorini

Informazioni aggiuntive

Codice e denominazione

0165#_###_062# - SP 4 KM 8,020 - Ponte del Gorini

Coordinate ETRF2000

42°40'47"N, 11°43'6"N

Anno misura

2007

Ultima ricognizione

2007

IGM95 Irradiati

[]

IGM95 Coincidenti

[]

Progressiva km

Km 61.613 dal Caposaldo 0026#_###_127#

Contrassegni

[{"simbolo_contrassegno":"B1","materializzazione":"(CSO) – Bullone infisso all'interno di un tombino raccogliacque fra due depositi scavati nel tufo, dopo circa 150 m. dal \"ponte del Gorini\", sulla destra della provinciale proseguendo in direzione Cortona."}]

Prodotti simili

0102#_###_082# – CASELLO FF.SS. 33+263 AL KM. 294 della SS.N 113

24,40