icona-ricerca_bg
icona-accedi-registrati_bg

Area riservata/Registrati

Si informano i gentili utenti che, al momento, l’acquisto dei prodotti IGM è effettuabile esclusivamente tramite il sito ufficiale www.igmi.org
Il servizio di vendita diretta su questa piattaforma è in fase di implementazione e sarà reso disponibile prossimamente. Ci scusiamo per il temporaneo disagio.
Anteprima a bassa risoluzione del file originale e coperta da filigrana

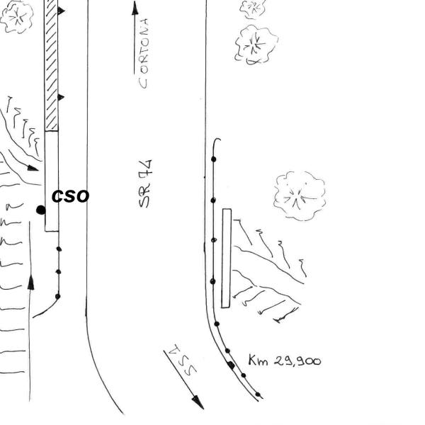
0165#_###_032# – SR 74 KM 29,910

ID Univoco del prodotto: 42095

24,40 

Selezione modalità di acquisto

Capisaldi livellazione *

capisaldi-livellazione

Totale ordine:

Descrizione

0165#_###_032# – SR 74 KM 29,910 – Ponte

Informazioni aggiuntive

Codice e denominazione

0165#_###_032# - SR 74 KM 29,910 - Ponte

Coordinate ETRF2000

42°35'11"N, 11°29'52"N

Anno misura

2007

Ultima ricognizione

2007

IGM95 Irradiati

[]

IGM95 Coincidenti

[]

Progressiva km

Km 31.846 dal Caposaldo 0026#_###_127#

Contrassegni

[{"simbolo_contrassegno":"B1","materializzazione":"(CSO) – Bullone infisso sulla trave a monte, estremit\u00e0 riva destra, del ponte sul ruscello, lato sinistro in direzione Cortona."}]

Prodotti simili

0102#_###_090# – CABINA ELETTRICA E.N.E.L. al km. 302.2 della SS.N

24,40