icona-ricerca_bg
icona-accedi-registrati_bg

Area riservata/Registrati

Si informano i gentili utenti che, al momento, l’acquisto dei prodotti IGM è effettuabile esclusivamente tramite il sito ufficiale www.igmi.org
Il servizio di vendita diretta su questa piattaforma è in fase di implementazione e sarà reso disponibile prossimamente. Ci scusiamo per il temporaneo disagio.
Anteprima a bassa risoluzione del file originale e coperta da filigrana

0169#_###_089# – RAVENNA – VIA DI ROMA

ID Univoco del prodotto: 43777

24,40 

Selezione modalità di acquisto

Capisaldi livellazione *

capisaldi-livellazione

Totale ordine:

Descrizione

0169#_###_089# – RAVENNA – VIA DI ROMA – Porta Serrata

Informazioni aggiuntive

Codice e denominazione

0169#_###_089# - RAVENNA - VIA DI ROMA - Porta Serrata

Coordinate ETRF2000

44°25'21"N, 12°12'6"N

Anno misura

2005

Ultima ricognizione

2008

IGM95 Irradiati

[]

IGM95 Coincidenti

[]

Progressiva km

Km 80.365 dal Caposaldo 0019#_###_034P

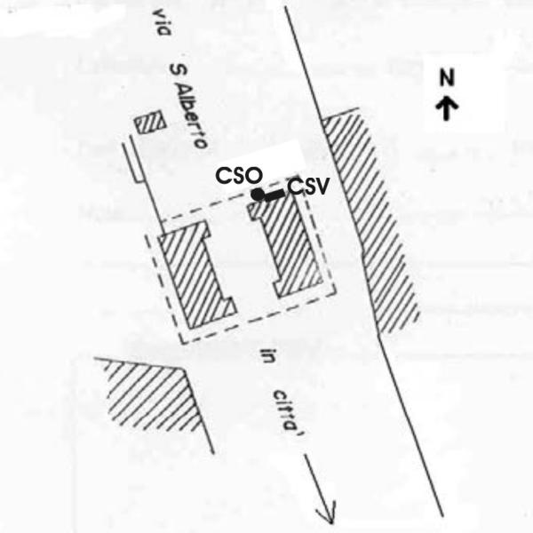
Contrassegni

[{"simbolo_contrassegno":"B1","materializzazione":"(CSO) – Bullone di altro Ente infisso alla sinistra della porta entrando in citt\u00e0."},{"simbolo_contrassegno":"V5","materializzazione":"(CSV) – Targa con linea incisa di altro Ente infissa in corrispondenza del CSO. Misurabile con difficolt\u00e0."}]

Prodotti simili

0102#_###_079# – MURO DI SOSTEGNO a valle, al km. 291 della SS.N 11

24,40