icona-ricerca_bg
icona-accedi-registrati_bg

Area riservata/Registrati

Si informano i gentili utenti che, al momento, l’acquisto dei prodotti IGM è effettuabile esclusivamente tramite il sito ufficiale www.igmi.org
Il servizio di vendita diretta su questa piattaforma è in fase di implementazione e sarà reso disponibile prossimamente. Ci scusiamo per il temporaneo disagio.
Anteprima a bassa risoluzione del file originale e coperta da filigrana

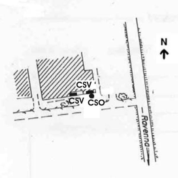
0169#_###_076# – S.P. 1 KM 7,000

ID Univoco del prodotto: 43790

24,40 

Selezione modalità di acquisto

Capisaldi livellazione *

capisaldi-livellazione

Totale ordine:

Descrizione

0169#_###_076# – S.P. 1 KM 7,000 – Via Sant’Alberto, 370

Informazioni aggiuntive

Codice e denominazione

0169#_###_076# - S.P. 1 KM 7,000 - Via Sant'Alberto, 370

Coordinate ETRF2000

44°30'36"N, 12°10'11"N

Anno misura

2005

Ultima ricognizione

2008

IGM95 Irradiati

[]

IGM95 Coincidenti

[]

Progressiva km

Km 68.502 dal Caposaldo 0019#_###_034P

Contrassegni

[{"simbolo_contrassegno":"B2","materializzazione":"(CSO) – Chiodo anonimo infisso sul marciapiede presso lo spigolo Sud-Est."},{"simbolo_contrassegno":"V5","materializzazione":"(CSV) – Targa con linea incisa (C.R.1949) di altro Ente posta in corrispondenza del CSO."},{"simbolo_contrassegno":"V4","materializzazione":"(CSV') – Piastrina di altro Ente (IRTA Milano) infissa alla destra della porta d'ingresso dell'abitazione del numero civico 146'."}]

Prodotti simili

0102#_###_079# – MURO DI SOSTEGNO a valle, al km. 291 della SS.N 11

24,40