Descrizione
0162#_###_059# – CASTELNUOVO DI GARFAGNANA – Centrale idroelettrica
24,40 €
0162#_###_059# – CASTELNUOVO DI GARFAGNANA – Centrale idroelettrica
| Codice e denominazione | 0162#_###_059# - CASTELNUOVO DI GARFAGNANA - Centrale idroelettrica |
|---|---|
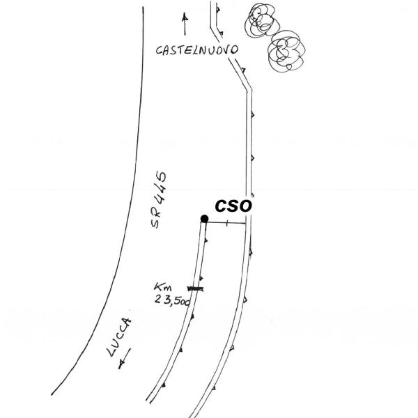
| Coordinate ETRF2000 | 44°6'35"N, 10°24'57"N |
| Anno misura | 2006 |
| Ultima ricognizione | 2006 |
| Progressiva km | Km 58.96 dal Caposaldo 0033#_###_016# |
| Contrassegni | [{"simbolo_contrassegno":"B1","materializzazione":"(CSO) – Bullone infisso sulla testa del muro di sostegno della strada a destra del cancello di accesso alla centrale"}] |
| IGM95 Coincidenti | [] |
| IGM95 Irradiati | [] |