Descrizione
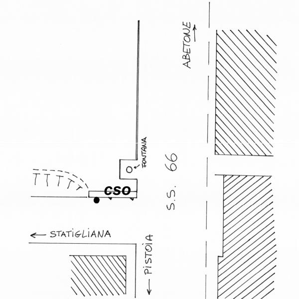
0161#_###_005# – PIAZZA – SS 66 Modenese km 42,620
24,40 €
0161#_###_005# – PIAZZA – SS 66 Modenese km 42,620
| Codice e denominazione | 0161#_###_005# - PIAZZA - SS 66 Modenese km 42,620 |
|---|---|
| Coordinate ETRF2000 | 43°58'33"N, 10°52'31"N |
| Anno misura | 2006 |
| Ultima ricognizione | 2006 |
| Progressiva km | Km 4.677 dal Caposaldo 0005#_###_050# |
| Contrassegni | [{"simbolo_contrassegno":"B1","materializzazione":"(CSO) – Bullone murato nel muro di sostegno al bivio per Statigliana – Campiglio."}] |
| IGM95 Coincidenti | [] |
| IGM95 Irradiati | [] |