Descrizione
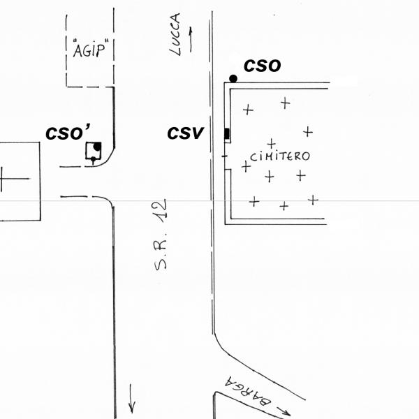
0161#_###_057# – CHIFENTI CIMITERO – S.R. 12
24,40 €
0161#_###_057# – CHIFENTI CIMITERO – S.R. 12
| Codice e denominazione | 0161#_###_057# - CHIFENTI CIMITERO - S.R. 12 |
|---|---|
| Coordinate ETRF2000 | 43°59'56"N, 10°33'28"N |
| Anno misura | 2006 |
| Ultima ricognizione | 2006 |
| Progressiva km | Km 56.146 dal Caposaldo 0005#_###_050# |
| Contrassegni | [{"simbolo_contrassegno":"B1","materializzazione":"(CSO) – Bullone infisso sul muro laterale sinistro del cimitero di Chifenti, presso lo spigolo destro."},{"simbolo_contrassegno":"V6","materializzazione":"(CSV) – Piastrina con cilindretto infissa sul muro del cimiteroa sinistra dell'ingresso"},{"simbolo_contrassegno":"B4","materializzazione":"(CSO') – Centrino universale infisso sulla base della fontana presente tra il cimitero di Chifenti e la chiesa di S. Frediano"}] |
| IGM95 Coincidenti | [] |
| IGM95 Irradiati | [] |