icona-ricerca_bg
icona-accedi-registrati_bg

Area riservata/Registrati

Si informano i gentili utenti che, al momento, l’acquisto dei prodotti IGM è effettuabile esclusivamente tramite il sito ufficiale www.igmi.org
Il servizio di vendita diretta su questa piattaforma è in fase di implementazione e sarà reso disponibile prossimamente. Ci scusiamo per il temporaneo disagio.
Anteprima a bassa risoluzione del file originale e coperta da filigrana

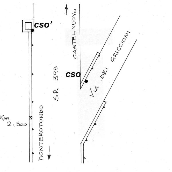
0163#_###_101# – SR 398 KM 2,480

ID Univoco del prodotto: 44898

24,40 

Selezione modalità di acquisto

Capisaldi livellazione *

capisaldi-livellazione

Totale ordine:

Descrizione

0163#_###_101# – SR 398 KM 2,480 – Via Dei Griccioni

Informazioni aggiuntive

Codice e denominazione

0163#_###_101# - SR 398 KM 2,480 - Via Dei Griccioni

Coordinate ETRF2000

43°8'43"N, 10°51'38"N

Anno misura

2006

Ultima ricognizione

2006

IGM95 Irradiati

[]

IGM95 Coincidenti

[]

Progressiva km

Km 86.252 dal Caposaldo 0030#_###_022P

Contrassegni

[{"simbolo_contrassegno":"B1","materializzazione":"(CSO) – Bullone tipo IGM cementato sul muro di sostegno di Via Dei Griccioni al bivio con la SR 398."},{"simbolo_contrassegno":"B2","materializzazione":"(CSO') – Chiodo anonimo tipo CNR posto sul cordolo del tombino scorriacque nei pressi di CSO sulla SR 398."}]

Prodotti simili

0102#_###_098# – CIMITERO DI TRAPPETO, al km. 58.280 della SS.N 187

24,40