icona-ricerca_bg
icona-accedi-registrati_bg

Area riservata/Registrati

Si informano i gentili utenti che, al momento, l’acquisto dei prodotti IGM è effettuabile esclusivamente tramite il sito ufficiale www.igmi.org
Il servizio di vendita diretta su questa piattaforma è in fase di implementazione e sarà reso disponibile prossimamente. Ci scusiamo per il temporaneo disagio.
Anteprima a bassa risoluzione del file originale e coperta da filigrana

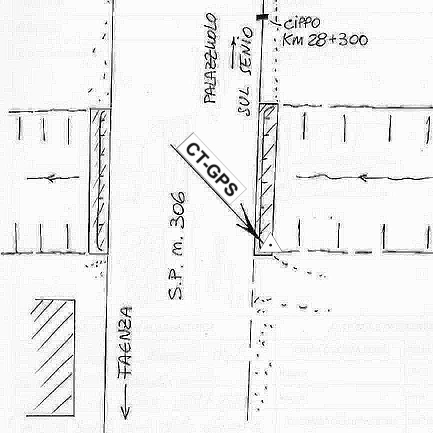
099610 – GATTARA

ID Univoco del prodotto: 4587

36,60  IVA incl.

Selezione modalità di acquisto

Descrizione

099610 – GATTARA – Casola Valsenio

Informazioni aggiuntive

Codice e denominazione

099610 - GATTARA - Casola Valsenio

Coordinate ETRF2000

44°10'1"N, 11°35'17"N

Anno misura

2007

Ultima ricognizione

2017-05-11T00:00:00+00:00

Materializzazione

Centrino in acciaio inox murato sulla spalla in calcestruzzo del ponticello posto al km 28,270 della S.P. 306.

Tipo di rete

Rete di Raffittimento

Collegamenti
Derivazione quota

Con quota derivata dal modello del geoide (ITALGEO2005)

Prodotti simili

131635 – PIEDIPATERNO

36,60  IVA incl.