Descrizione
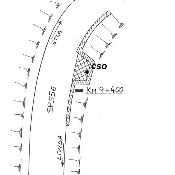
0167#_###_100# – SP 556 – Km 9,400
24,40 €
0167#_###_100# – SP 556 – Km 9,400
| Codice e denominazione | 0167#_###_100# - SP 556 - Km 9,400 |
|---|---|
| Coordinate ETRF2000 | 43°51'24"N, 11°36'13"N |
| Anno misura | 2005 |
| Ultima ricognizione | 2005 |
| IGM95 Irradiati | [] |
| IGM95 Coincidenti | [] |
| Progressiva km | Km 93.876 dal Caposaldo 0014#_###_042# |
| Contrassegni | [{"simbolo_contrassegno":"B1","materializzazione":"(CSO) – Bullone infisso all'interno del tombino scolmatore acque piovane."}] |