icona-ricerca_bg
icona-accedi-registrati_bg

Area riservata/Registrati

Si informano i gentili utenti che, al momento, l’acquisto dei prodotti IGM è effettuabile esclusivamente tramite il sito ufficiale www.igmi.org
Il servizio di vendita diretta su questa piattaforma è in fase di implementazione e sarà reso disponibile prossimamente. Ci scusiamo per il temporaneo disagio.
Anteprima a bassa risoluzione del file originale e coperta da filigrana

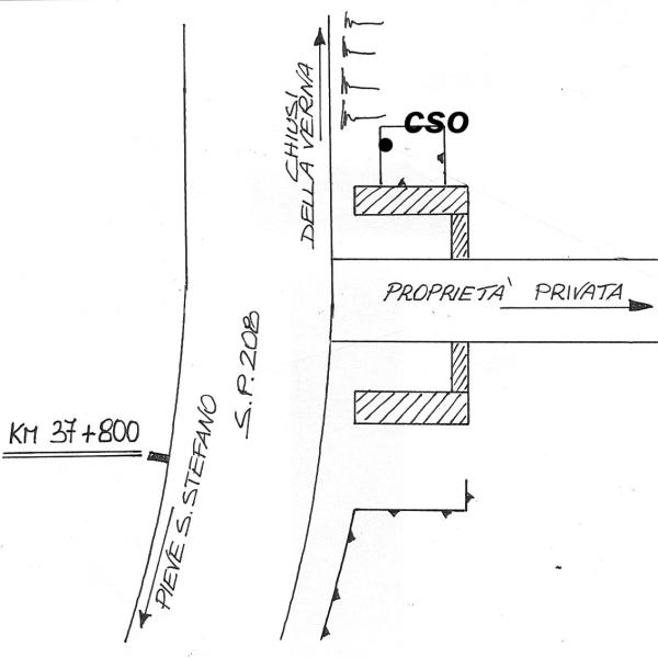
0167#_###_018# – SP 208 DELLO SPINO

ID Univoco del prodotto: 46526

24,40 

Selezione modalità di acquisto

Capisaldi livellazione *

capisaldi-livellazione

Totale ordine:

Descrizione

0167#_###_018# – SP 208 DELLO SPINO – km 37,780

Informazioni aggiuntive

Codice e denominazione

0167#_###_018# - SP 208 DELLO SPINO - km 37,780

Coordinate ETRF2000

43°40'17"N, 12°1'47"N

Anno misura

2005

Ultima ricognizione

2005

IGM95 Irradiati

[]

IGM95 Coincidenti

[]

Progressiva km

Km 18.696 dal Caposaldo 0014#_###_042#

Contrassegni

[{"simbolo_contrassegno":"B1","materializzazione":"(CSO) – Bullone infisso all'interno del tombino scolmatore acque piovane, nei pressi di accesso a propriet\u00e0 privata."}]

Prodotti simili

0102#_###_095# – CIAMARITA – Casa al ponte sul Torr. Vadduni(km.61.

24,40