icona-ricerca_bg
icona-accedi-registrati_bg

Area riservata/Registrati

Si informano i gentili utenti che, al momento, la vendita dei prodotti IGM è sospesa.
Il servizio di vendita diretta su questa piattaforma è in fase di implementazione e sarà reso disponibile prossimamente. Ci scusiamo per il temporaneo disagio.
Anteprima a bassa risoluzione del file originale e coperta da filigrana

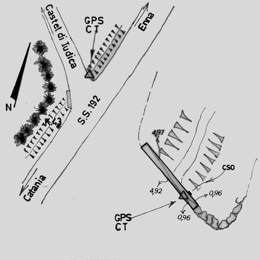
269701 – S.S. 192 – KM 43,000

ID Univoco del prodotto: 469296

54,90  IVA incl.

Selezione modalità di acquisto

Descrizione

269701 – S.S. 192 – KM 43,000

Informazioni aggiuntive

Codice e denominazione

269701 - S.S. 192 - KM 43,000

Materializzazione

Centrino di tipo "GPS C" fissato sulla spalletta del ponte all'inizio della strada a fondo naturale per Castel di Iudica.

Ultima ricognizione

2007-05-29T00:00:00+00:00

Derivazione quota

Con quota derivata da caposaldo di livellazione (Rete Fond.)

Collegamenti

R 0105# ### 047# Contrassegno di vario tipo DH = 0,000

Coordinate ETRF2000

37°33'7"N, 14°41'16"N

Anno misura

1996

Tipo di rete

Rete Primaria

Prodotti simili