icona-ricerca_bg
icona-accedi-registrati_bg

Area riservata/Registrati

Si informano i gentili utenti che, al momento, l’acquisto dei prodotti IGM è effettuabile esclusivamente tramite il sito ufficiale www.igmi.org
Il servizio di vendita diretta su questa piattaforma è in fase di implementazione e sarà reso disponibile prossimamente. Ci scusiamo per il temporaneo disagio.
Anteprima a bassa risoluzione del file originale e coperta da filigrana

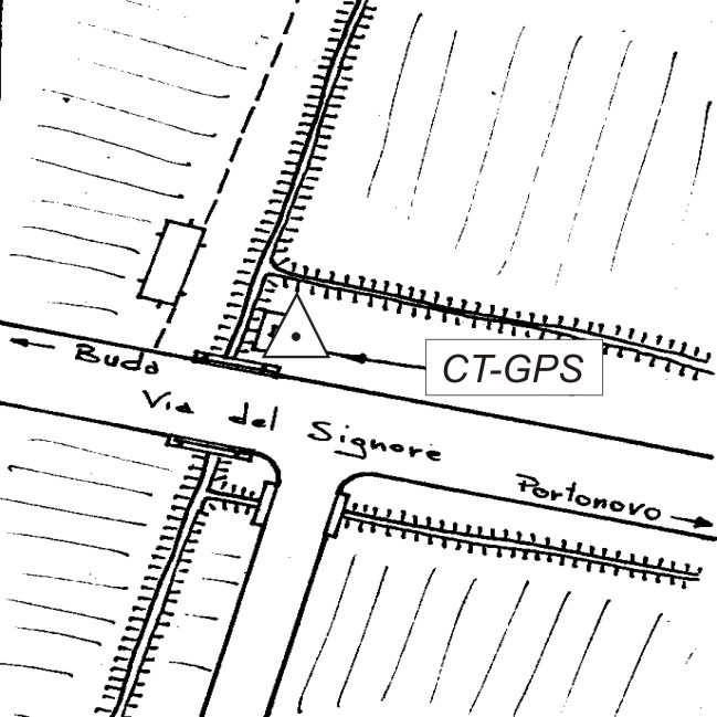
088627 – CASE CACCIATORI

ID Univoco del prodotto: 905

36,60  IVA incl.

Selezione modalità di acquisto

Descrizione

088627 – CASE CACCIATORI – Via del Signore

Informazioni aggiuntive

Codice e denominazione

088627 - CASE CACCIATORI - Via del Signore

Coordinate ETRF2000

44°30'30"N, 11°42'56"N

Anno misura

2011

Ultima ricognizione

2017-05-26T00:00:00+00:00

Materializzazione

Centrino metallico infisso sulla sommità del tombino in cemento posto al bordo della Via del Signore nelle vicinanze del centro abitato di Buda.

Tipo di rete

Rete di Raffittimento

Collegamenti
Derivazione quota

Con quota derivata dal modello del geoide (ITALGEO2005)

Prodotti simili

131637 – ROSCETO SCALO

36,60  IVA incl.