Descrizione
030102 – GOZZANO BIVIO
12,20 € IVA incl.
030102 – GOZZANO BIVIO
| Codice e denominazione | 030102 - GOZZANO BIVIO |
|---|---|
| Tipo di vertice | Vertici di certa definizione |
| Coordinate ETRF2000 | 45°44'56"N, 8°25'49"N |
| Ordine del vertice | 3 |
| Anno istituzione | 1989-01-01T00:00:00+00:00 |
| Anno misura | 1989-01-01 |
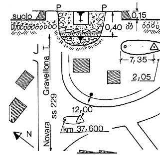
| Materializzazione | Sul bivio tra la strada statale 229 al Km 37,600 e la strada che conduce nel centro di Gozzano. Centrino di fondo e in asse un centrino di superficie cementati in blocchi indipendenti nell`aiuola spartitraffico del bivio. (GPS) |
| Accesso | |
| Info ausiliarie |